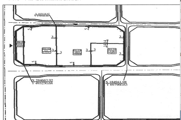
以下为××市城乡建设局做出的某地块规划图。 【问题】 请根据规划知识,指出以上图中存在的问题。(1)居住用地H4—03建筑密度偏高。 (2)街头...

作者: tihaiku 人气: - 评论: 0
问题

以下为××市城乡建设局做出的某地块规划图。

【问题】

请根据规划知识,指出以上图中存在的问题。

选项

(1)居住用地H4—03建筑密度偏高。

(2)街头绿地H4—01地块绿地率低于70%,容积率过高。

(3)H4—04地块用地性质为公建,建筑面积达3726m2,但停车位仅安排3辆,停车位过少。

(4)H4—02建筑控制高度为45m,H4—03地块建筑控制高度为24m,均可建设高层建筑,但两地块建筑后退红线的要求均为3m,小于高层建筑防火间距。

(5)H4—01地块西侧机动车开口位置在图例中为“禁止开口路段”,开口位置错误。

(6)道路中心线交叉点与地块上2个点的X、Y坐标混乱,道路坐标错误。

(7)比例尺为1:5000是不正确的,比例尺应按照编制规范改为1:1000~1 : 2000。

(8)图签不规范,编制单位、设计人、审核人、设计日期等必须内容均未标出。

(9)规划编制单位应是具有国家认可的设计资质的单位,规划主管部门不能直接编制规划。

【解析】

本案例需要考生从图中出现的各个方面内容去分析、发现问题。图则中,包括地块规划图、街坊位置示意、指北针、比例尺、地块控制指标表、说明、图例、图鉴等。

首先看各项规划指标:指标的种类包括地块编码、用地性质代码、用地面积、建筑面积、容积率、建筑密度、建筑限高、绿地率、居住户数、配套机动车位、公连及市政配套设施等,均是比较合理的。但其中某些指标存在问题:居住用地的建筑密度为:10%,偏高,应控制在30%以下;街头绿地G12(H4- 01地块)绿地率为50%.明显偏低.而容积率达到0.4,类似别墅区的容积率,过高;H4-04地块用地性质为公建,建筑面积达3726m,但停车位仅安排3辆,明显过少。地块规划图中:H1-02建筑控制高度为45 m,H4-03地块建筑控制高度为2 4 m,均可设高层建筑;但两地块建筑后退红线的要求均为3m,小于高层建筑防火间距:H4-01地块西侧机动车开口位置在图例中沟“禁止开口路段”,显然不正确;道路中心线交叉点与地块上2个点的X、Y坐标混乱”存在错误。其他内容中,比例尺为1:5000,是不正确的,应按照编制规范改为1:1000~1:2000;图签的表示方法不规范,编制单位、设计人、审核人、设计日期等必需内容均未标出。

最后,规划编制单位存在问题,必须是具有国家认可的具有相应设计资质的单位,而不是由规划主管部门直接编制规划。

答案
解析

相关内容:城乡,建设局,地块,规划图,问题,根据,规划,知识,图中,用地,建筑,密度,街头

猜你喜欢

发表评论
更多 网友评论0 条评论)
暂无评论

访问排行

Copyright © 2012-2014 恰考网 Inc. 保留所有权利。 Powered by tikuer.com

页面耗时0.0573秒, 内存占用1.04 MB, Cache:redis,访问数据库14次