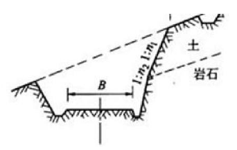
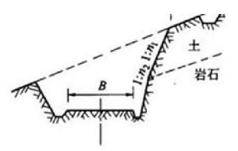
某高速公路M 合同段(K17+300~K27+300)。路基横断面形式,见下图: 开挖段地质条件为覆盖层厚3.5m 的含水量较大的黏性土和1...

作者: tihaiku 人气: - 评论: 0
问题 某高速公路M 合同段(K17+300~K27+300)。路基横断面形式,见下图: 开挖段地质条件为覆盖层厚3.5m 的含水量较大的黏性土和1.5m 厚的强风化泥岩,下为中风化泥岩,路堑设计标高在原地面下6.5m 处。 事件1:为了保证安全,施工单位在开挖时从滑坡体中部向两侧自上而下进行开挖,并安排专职人员对下边坡进行监视,并采用石砌抗滑挡土墙的稳定措施,对流向滑坡体的地表水设置了环状截水沟排出,对地下水设置暗沟排出。 事件2:石砌抗滑挡土墙施工工艺:施工准备→基坑开挖→(A)→砌筑基础→基坑回填→选修面石与拌砂浆→(B)→填筑与反滤层与墙背回填→清理勾缝→竣工验收。 事件3:石砌抗滑挡土墙施工完成后,施工单位对“石砌抗滑挡土墙”分项工程按《公路工程质量检验评分标准》进行了自检,对7 个实测项目按百分制进行评分,自检结果见下表。经检查,该分项工程“基本要求”符合规定,资料完整,但因外观缺陷减1 分。 【问题】 1.指出事件1 中错误的做法,并改正。 2.石砌抗滑挡土墙施工工艺中工序A、B 的意思。 3.根据背景,该项目是否要进行施工安全总体风险评估?如需施工安全总体风险评估,说明理由,何时评估,谁组织? 4.背景中排除滑坡地下水与地面水还有哪些方法? 5.分别计算“砌体挡土墙”分项工程的得分值和评分值(保留至小数点后两位),确定该分项工程的质量等级。
选项
答案
解析 1.(1)“从滑坡体中部向两侧自上而下进行开挖,并安排专职人员对下边坡进行监视”错误。 改正:从滑坡体两侧向中部自上而下进行开挖,并安排专职人员对上边坡进行监视”。 2.A——报检复核,B——砌筑墙身。 3.需要。理由:总体风险评估对象包括:老滑坡体、岩堆体、老错落体等不良地质体地段开挖形成的不足20m 的边坡。总体风险评估应在项目开工前实施,由建设单位负责组织。 4.排除地面水的方法:设置树枝状排水沟、平整夯实滑坡体表面的土层。排除地下水的方法:有支撑渗沟、边坡渗沟、平孔等。 5.(1)分项工程得分=Σ[检查项目得分×权值]/Σ检查项目权值=96×2+90×2+88×2+91×2+85×2+94×1+87×1/(2+2+2+2+2+1+1)=90.08 (2)分项工程评分值=分项工程得分-外观缺陷减分-资料不全减分=90.08-1-0=89.08 分,大于75 分,故质量评定为合格。

相关内容:高速公路,合同,K17+300,K27+300,路基,横断面,形式,下图,开挖,段地质,地质,条件,盖层,含水量,黏性

猜你喜欢

发表评论
更多 网友评论0 条评论)
暂无评论

访问排行

Copyright © 2012-2014 恰考网 Inc. 保留所有权利。 Powered by tikuer.com

页面耗时0.0358秒, 内存占用1.05 MB, Cache:redis,访问数据库18次